REQUEST A TOUR If you would like to see this home without being there in person, select the "Virtual Tour" option and your agent will contact you to discuss available opportunities.
In-PersonVirtual Tour

$ 43,500
Est. payment /mo
Active
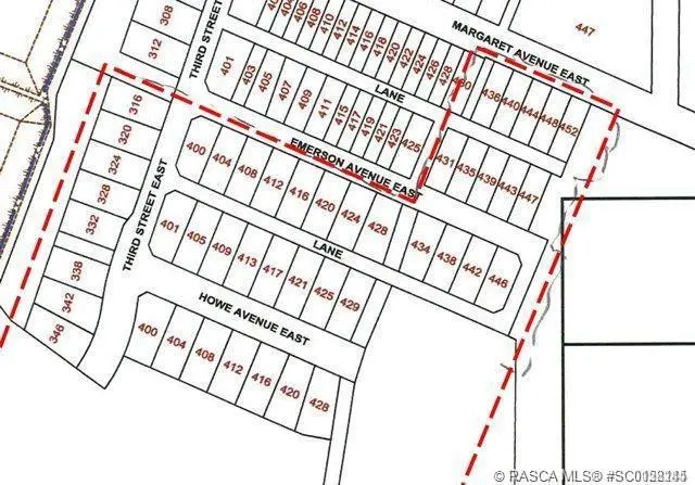
436 Margaret AVE E Duchess, AB T0J 0Z0
5,121 Sqft Lot
UPDATED:
Key Details
Property Type Vacant Land
Sub Type Land
Listing Status Active
Purchase Type For Sale
MLS® Listing ID SC0158145
Annual Tax Amount $344
Tax Year 2019
Lot Size 5,121 Sqft
Acres 0.12
Lot Dimensions 41.00X123.00
Property Sub-Type Land
Source South Central
Property Description
BUILD YOUR FUTURE! These lots are waiting for you to build your dream home. Fully serviced lots on various streets in the family friendly Village of Duchess. Take advantage of these affordably priced lots and enjoy the relaxed lifestyle of Duchess
Location
Province AB
County Newell, County Of
Zoning Residental
Rooms
Basement None
Interior
Heating None
Exterior
Parking Features None
Roof Type None
Building
Lot Description Cleared, Level, Standard Shaped Lot
Foundation None
Sewer Sewer
Water Public
Structure Type None
Others
Tax ID 57112587
Virtual Tour https://www.team-advantage.ca/Listing/VirtualTour.ashx?ListingID=309357229
Listed by CIR REALTY






